Project No. RW812; Project File No. E4993
Location
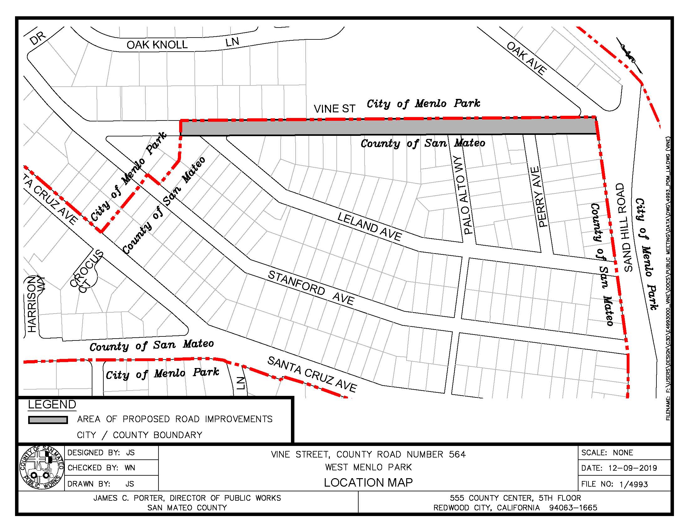
Vine Street from Oak Avenue to County/City Boundary near Leland Avenue
About the Project
The Project involves the roadway reconstruction of Vine Street from Oak Avenue to County/City Boundary near Leland Avenue in the unincorporated West Menlo area.
Public Works Contact
Wency Ng
Senior Civil Engineer
wng@smcgov.org
650-363-4100
Contractor
TBA
Updates
-
December 2022
-
Property Owner Survey sent 12/20/2022
-
Virtual Public Meeting to be held via Zoom on 1/11/2023
-
Property Owner Survey Due to County 01/27/2023
-
-
January 2023
-
Virtual Public Meeting: January 11, 2023 (Wednesday) from 6:30PM to 7:30PM– Zoom meeting (Enter Passcode: .tdH5xq1) Note please include “.” in the passcode.
-
- February 2023
- Survey results indicated insufficient property owner support for road reconstruction improvements. These roads are included in the 2023 Pavement Preservation Project, which includes limited pavement repair areas followed by micro surfacing or slurry sealing surface treatment.
- Link to 2023 Pavement Preservation Project for additional info: https://www.smcgov.org/publicworks/2023-pavement-preservation-project